A CVA Canicattì nuova Medaglia d’Oro con l’Aquilae Nero d’Avola
17 Settembre 2015
Nuovi traguardi d’eccellenza per la CVA Canicattì, l’azienda cooperativa che da più di un lustro è impegnata in un progetto di viticoltura di qualità attenta alla cura degli antichi vitigni autoctoni, alla biodiversità e al terroir. E’ in questo contesto che l’Aquilae Nero d’Avola 2013 conquista la Medaglia d’Oro al Gran Premio Internazionale Mundus Vini – Edizione Summer 2015, l’evento internazionale che si tiene in Germania istituito nel 2001, diventato in pochi anni una prestigiosa vetrina per le etichette di qualità prodotte nelle regioni viticole più blasonate del mondo. Questo premio assume un significato particolare: nell’edizione invernale del prestigioso concorso CVA Canicattì si era aggiudicata un’altra medaglia d’oro pesante con il Centuno, uno dei Nero d’Avola più innovativi della Sicilia.

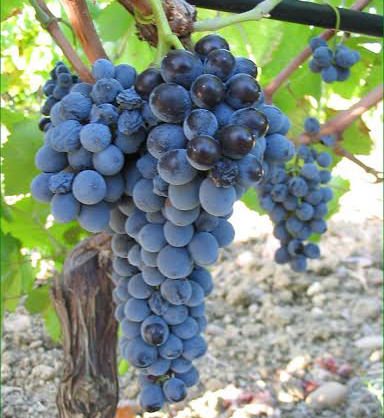
L’Aquilae Nero d’Avola 2013, prodotto da uve ottenute in vigneti posti ad una altitudine compresa tra i 250 e i 400 metri sul livello del mare, è un rosso che colpisce per la l’armonia e la morbidezza dei tannini. La particolarità di questo Nero d’Avola è allevato in terreni limo-sabbiosi e calcarei a una altitudine compresa tra i 200 m e i 600 della provincia agrigentina. Entrambe le etichette seguono una fermentazione malolattica e sono affinate per un breve periodo in piccoli carati francesi , per proseguire in bottiglia per almeno tre mesi.
“Il lustro che questi premi conferiscono alla nostra azienda – afferma Giovanni Greco, il Presidente di CVA Canicattì – è frutto del lavoro dei vignerons attenti ai vitigni autoctoni siciliani. Il successo internazionale del Nero d’Avola, rispecchia l’idea di una Sicilia dalla forte identità territoriale, che ha nella ricchezza del suo patrimonio naturale, culturale ed enogastronomico, i cardini del presente e del futuro della viticultura”.
CVA Canicattì è testimonial di spicco con vitigni della tradizione siciliana, come il Nero d’Avola, assoluti protagonisti di questo successo che riconducono a questo forte legame col territorio e con le tradizioni culturali e colturali di un’isola, definita da molti esperti, un autentico continente vinicolo.
Chiara Danielli
Redazione Newsfood.com





